Lygaeoidea Species File (Version 5.0/5.0)
       Home       Search       Taxa       Key       Help       Wiki





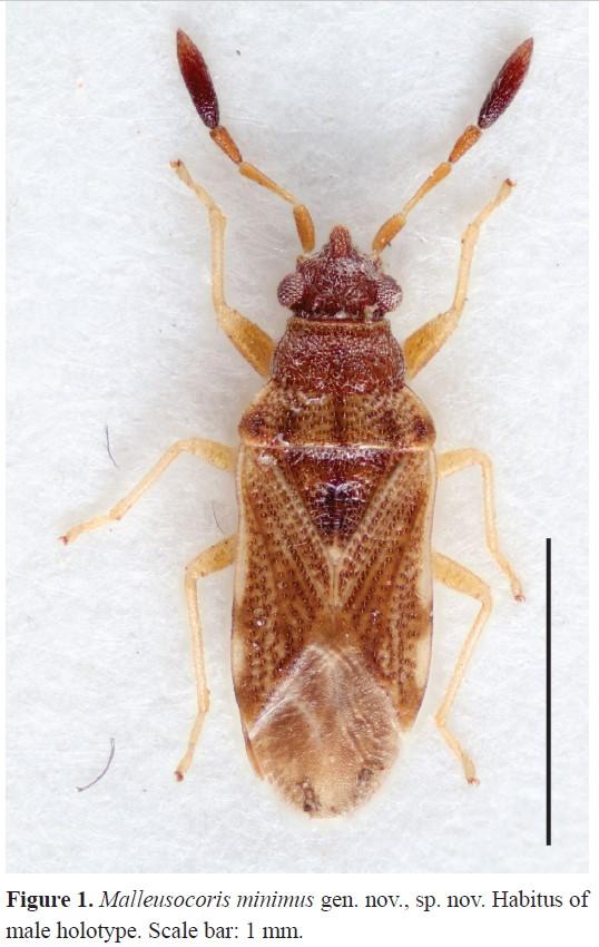
species Malleuscoris minimus Dellapé & Melo, 2023


 
male Holotype, Brazil, Mato Grosso, Pantanal, 25 km S of Poconé, Pousada Farm São Cristovão, MLP HE-10661 (MLP) (taken from Dellapé & Melo 2023)
 
        Explain


Creative Commons BY-SA       Home       Search       Taxa       Key       Help       Wiki      |      Top of page
Copyright © 2026.  Except where otherwise noted, content on this site is licensed under a Creative Commons Attribution-ShareAlike 4.0 International License.