Lygaeoidea Species File (Version 5.0/5.0)
       Home       Search       Taxa       Key       Help       Wiki





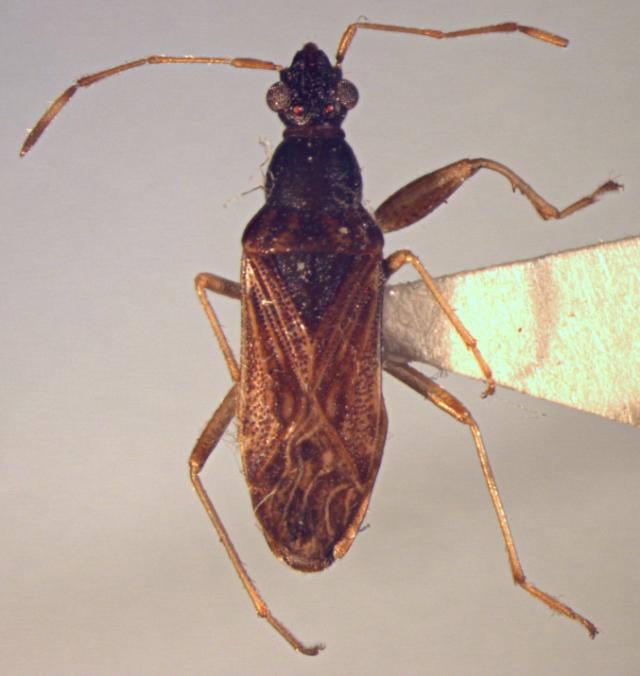
species Paisana pampeana Dellapé, 2008


 
Paisana pampeana. Holotype. (MLP) - (CC BY-NC 4.0) - Photo by Eugenia Minghetti, reproduced with permission from the Museo de La Plata, La Plata, Argentina.
 
        Explain

Show all images for this taxon     


Creative Commons BY-SA       Home       Search       Taxa       Key       Help       Wiki      |      Top of page
Copyright © 2026.  Except where otherwise noted, content on this site is licensed under a Creative Commons Attribution-ShareAlike 4.0 International License.