Lygaeoidea Species File (Version 5.0/5.0)
       Home       Search       Taxa       Key       Help       Wiki





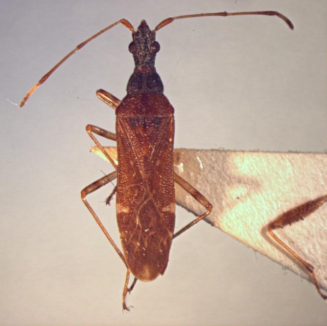
species Catenes australis Dellapé & Melo, 2008


 
Catenes australis. Holotype. (MLP) - (CC BY-NC 4.0) - Photo by Eugenia Minghetti, reproduced with permission from the Museo de La Plata, La Plata, Argentina.
 
        Explain

Show all images for this taxon     Show all images for this specimen     Show specimen data


Creative Commons BY-SA       Home       Search       Taxa       Key       Help       Wiki      |      Top of page
Copyright © 2026.  Except where otherwise noted, content on this site is licensed under a Creative Commons Attribution-ShareAlike 4.0 International License.