Lygaeoidea Species File (Version 5.0/5.0)
       Home       Search       Taxa       Key       Help       Wiki





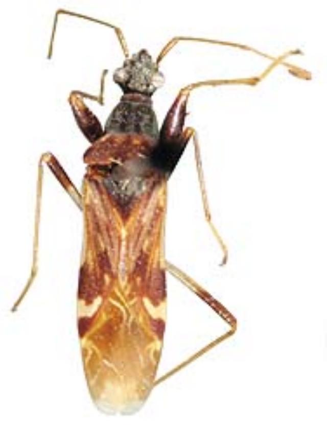
species Thoraea brasiliensis Dellapé & Montemayor, 2011


 
Thoraea brasiliensis, holotype. (AMNH) - (CC BY-NC 4.0) - Photo by Pablo M. Dellapé. Holotype ?, Est. Minas, BRASIL, Barro Alto Dec ’31, José Blaser collector, Neopamera neotropicalis Kirkaldy or near, det. Harrington 1981 (AMNH).
Source: Dellapé, P. M. & Montemayor. 2011. Insect Syst. Evol. 42:295-311
 
        Explain

Show all images for this specimen     Show specimen data


Creative Commons BY-SA       Home       Search       Taxa       Key       Help       Wiki      |      Top of page
Copyright © 2026.  Except where otherwise noted, content on this site is licensed under a Creative Commons Attribution-ShareAlike 4.0 International License.