Lygaeoidea Species File (Version 5.0/5.0)
       Home       Search       Taxa       Key       Help       Wiki





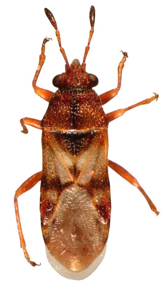
species Aborsillus pora Dellapé & Montemayor, 2012


 
Aborsillus pora, holotype. (MLP) - (CC BY-NC 4.0) - Photo by Sara Montemayor. Holotype. Male, Argentina, Misiones, Parque Prov. Moconá, S 27° 09.185” W 53° 54.080”, 342 m, 2-X-2010, Montemayor col. (MLP).
Source: Dellapé, P. M. & Montemayor. 2012. Zootaxa 3275:62-68
 
        Explain

Show all images for this specimen     Show specimen data


Creative Commons BY-SA       Home       Search       Taxa       Key       Help       Wiki      |      Top of page
Copyright © 2026.  Except where otherwise noted, content on this site is licensed under a Creative Commons Attribution-ShareAlike 4.0 International License.