Lygaeoidea Species File (Version 5.0/5.0)
       Home       Search       Taxa       Key       Help       Wiki





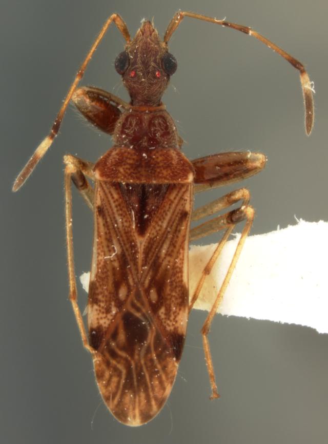
species Heraeus penai Dellapé, Melo & Henry, 2016


 
Heraeus penai, holotype. (USNM) - (CC BY-NC 4.0) - Photo by Pablo M. Dellapé. Holotype, Bol.[ivia], Mataral, (N) V. Grande, 1800–2000 m a.s.l., 15/17-XII- 1984, L.E. Peña (USNM).
Source: Dellapé, P. M., Melo & Henry. 2016. Zool. J. Linn. Soc. 177:29-134
 
        Explain

Show all images for this specimen     Show specimen data


Creative Commons BY-SA       Home       Search       Taxa       Key       Help       Wiki      |      Top of page
Copyright © 2026.  Except where otherwise noted, content on this site is licensed under a Creative Commons Attribution-ShareAlike 4.0 International License.