Lygaeoidea Species File (Version 5.0/5.0)
       Home       Search       Taxa       Key       Help       Wiki





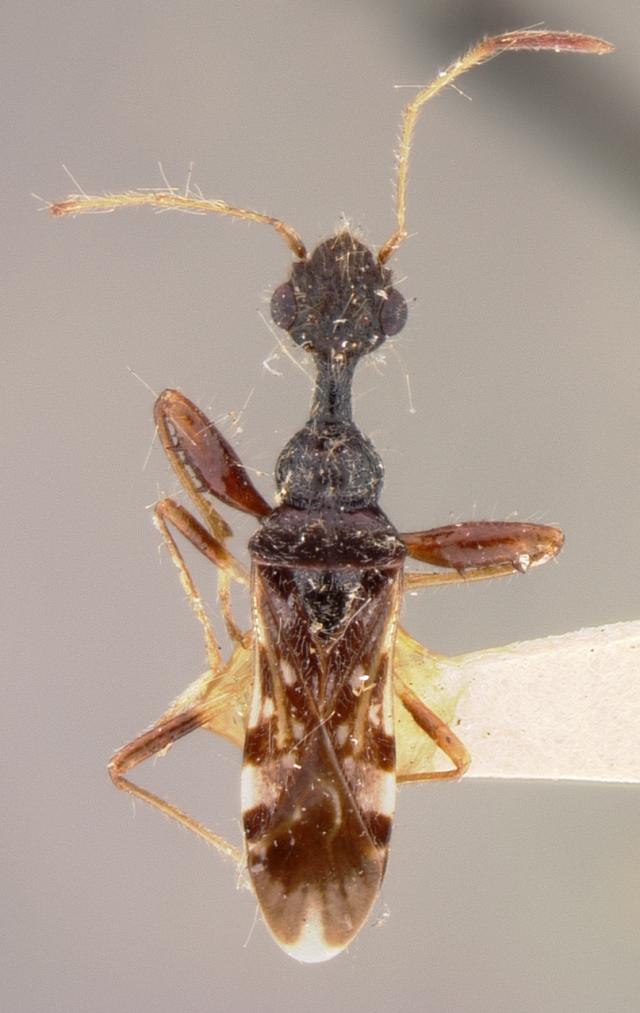
species Pephysena picta Barber, 1954


 
Pephysena picta HOLOTYPE (NMNH) - (CC BY-NC 3.0) - Photo by Pablo M. Dellapé with permission from the National Museum of Natural History (NMNH), Smithsonian Institution, Washington, D.C.
 
        Explain

Show all images for this taxon     


Creative Commons BY-SA       Home       Search       Taxa       Key       Help       Wiki      |      Top of page
Copyright © 2026.  Except where otherwise noted, content on this site is licensed under a Creative Commons Attribution-ShareAlike 4.0 International License.