Lygaeoidea Species File (Version 5.0/5.0)
       Home       Search       Taxa       Key       Help       Wiki





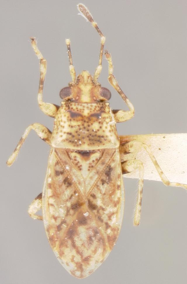
species Glyptonysius laevigatus Usinger, 1942


 
Glyptonysius laevigatus HOLOTYPE (NMNH) - (CC BY-NC 3.0) - Photo by Pablo M. Dellapé with permission from the National Museum of Natural History (NMNH), Smithsonian Institution, Washington, D.C.
 
        Explain

Show all images for this taxon     Show all images for this specimen     Show specimen data


Creative Commons BY-SA       Home       Search       Taxa       Key       Help       Wiki      |      Top of page
Copyright © 2026.  Except where otherwise noted, content on this site is licensed under a Creative Commons Attribution-ShareAlike 4.0 International License.